Baugebiet Neuländ II
Als nächster Zuteilungszeitpunkt wurde vom Bezirksbeirat Freistett der 28.11.2025 festgelegt. Damit ein Zuteilungsantrag in die Wertung eingehen kann, ist es unbedingt erforderlich, dass der Antrag spätestens zu diesem Zeitpunkt vollständig ausgefüllt und bewertbar bei der Stadt Rheinau eingereicht wird. Da es vorkommen kann, dass zur Bewertung des Antrags Rückfragen erfolgen müssen, ist es empfehlenswert, den Zuteilungsantrag mindestens 14 Tage vor dem oben genannten Termin einzureichen.
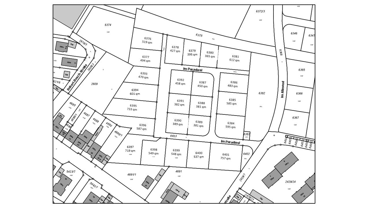
Als Zuteilungsmasse wurden die folgenden Bauplätze bestimmt:
- Flst.Nr. 2427, Gebäude- und Freifläche mit 479 m²
- Flst.Nr. 6319, Gebäude- und Freifläche mit 439 m²
- Flst.Nr. 6320, Gebäude- und Freifläche mit 492 m²
- Flst.Nr. 6321, Gebäude- und Freifläche mit 585 m²
- Flst.Nr. 6376, Gebäude- und Freifläche mit 519 m²
- Flst.Nr. 6377, Gebäude- und Freifläche mit 494 m²
- Flst.Nr. 6380, Gebäude- und Freifläche mit 365 m²
- Flst.Nr. 6388, Gebäude- und Freifläche mit 381 m²
- Flst.Nr. 6391, Gebäude- und Freifläche mit 382 m²
- Flst.Nr. 6392, Gebäude- und Freifläche mit 458 m²
- Flst.Nr. 6393, Gebäude- und Freifläche mit 470 m²
- Flst.Nr. 6394, Gebäude- und Freifläche mit 601 m²
- Flst.Nr. 6395, Gebäude- und Freifläche mit 733 m²
- Flst.Nr. 6396, Gebäude- und Freifläche mit 587 m²
Das Baugebiet Neuländ II liegt im südöstlichen Bereich von Freistett. Insgesamt verfügt das Baugebiet über 73 städtische Bauplätze, von denen aktuell 65 erschlossen sind.
Das Rathaus, Schulen und Kindergärten, die Sporthalle mit Hallenbad, die Stadthalle und die Kirche sowie die Mobilitätsstation Freistett Busbahnhof befinden sich in fußläufiger Nähe. Auch Geschäfte für den täglichen Bedarf sind vom Baugebiet aus bequem zu Fuß zu erreichen.
Der örtliche Badesee ist mit dem Fahrrad gut erreichbar. In unmittelbarer Nähe zum Baugebiet gibt es Rad- und Spazierwege.
Die Stadt Kehl ist von dem Baugebiet ca. 20 Fahrminuten (20 km) und die Stadt Achern ca. 15 Fahrminuten (12 km) entfernt. Die Autobahnauffahrt Achern zur Autobahn A5 ist mit dem Fahrzeug innerhalb von 10 Minuten erreichbar.
Der Quadratmeterpreis beträgt 225,00 €/qm (voll erschlossen).
Lediglich die Kosten der bereits auf den einzelnen Baugrundstücken vorinstallierten Schmutz- und Regenwasserkontrollschächte werden noch dem Kaufpreis hinzugerechnet. Soweit diese bereits bekannt sind, sind sie bei den einzeln ausgewiesenen Kaufpreisen miteingerechnet.
In den Kaufvertrag wird eine zweijährige Bauverpflichtung mit einer anschließenden zehnjährigen Nutzungsverpflichtung aufgenommen. Für weitere Details wird auf die Vergaberichtlinie verwiesen.
Die genauen Voraussetzungen und Bedingungen für die Vergabe eines Bauplatzes können der Vergaberichtlinie im Downloadbereich (Reiter Dokumente am Ende der Seite) entnommen werden.
6376
Im Paradiesl
77866 Rheinau
Anfahrt planen- Quadratmeter: 519 m 2
- Preis pro Quadratmeter: 225,00 €
- Preis gesamt: 122.050,08 €
- Vergaberichtlinie
- Zuteilungsantrag
6377
Im Paradiesl
77866 Rheinau
Anfahrt planen- Quadratmeter: 494 m 2
- Preis pro Quadratmeter: 225,00 €
- Preis gesamt: 116.425,08 €
- Vergaberichtlinie
- Zuteilungsantrag
6380
Im Paradiesl
77866 Rheinau
Anfahrt planen- Quadratmeter: 365 m 2
- Preis pro Quadratmeter: 225,00 €
- Preis gesamt: 87.400,08 €
- Vergaberichtlinie
- Zuteilungsantrag
6388
Im Paradiesl
77866 Rheinau
Anfahrt planen- Quadratmeter: 381 m 2
- Preis pro Quadratmeter: 225,00 €
- Preis gesamt: 91.000,08 €
- Vergaberichtlinie
- Zuteilungsantrag
6391
Im Paradiesl
77866 Rheinau
Anfahrt planen- Quadratmeter: 382 m 2
- Preis pro Quadratmeter: 225,00 €
- Preis gesamt: 91.225,08 €
- Vergaberichtlinie
- Zuteilungsantrag
6392
Im Paradiesl
77866 Rheinau
Anfahrt planen- Quadratmeter: 458 m 2
- Preis pro Quadratmeter: 225,00 €
- Preis gesamt: 108.325,08 €
- Vergaberichtlinie
- Zuteilungsantrag
6393
Im Paradiesl
77866 Rheinau
Anfahrt planen- Quadratmeter: 470 m 2
- Preis pro Quadratmeter: 225,00 €
- Preis gesamt: 111.025,08 €
- Vergaberichtlinie
- Zuteilungsantrag
6394
Im Paradiesl
77866 Rheinau
Anfahrt planen- Quadratmeter: 601 m 2
- Preis pro Quadratmeter: 225,00 €
- Preis gesamt: 140.500,08 €
- Vergaberichtlinie
- Zuteilungsantrag
6395
Im Paradiesl
77866 Rheinau
Anfahrt planen- Quadratmeter: 733 m 2
- Preis pro Quadratmeter: 225,00 €
- Preis gesamt: 170.200,08 €
- Vergaberichtlinie
- Zuteilungsantrag
6396
Im Paradiesl
77866 Rheinau
Anfahrt planen- Quadratmeter: 587 m 2
- Preis pro Quadratmeter: 225,00 €
- Preis gesamt: 137.350,08 €
- Vergaberichtlinie
- Zuteilungsantrag
2427
Turnhallenstraße
77866 Rheinau
Anfahrt planen- Quadratmeter: 479 m 2
- Preis pro Quadratmeter: 225,00 €
- Preis gesamt: 113.050,08 €
- Vergaberichtlinie
- Zuteilungsantrag
6319
Turnhallenstraße
77866 Rheinau
Anfahrt planen- Quadratmeter: 439 m 2
- Preis pro Quadratmeter: 225,00 €
- Preis gesamt: 104.050,08 €
- Vergaberichtlinie
- Zuteilungsantrag
6320
Neuländstraße
77866 Rheinau
Anfahrt planen- Quadratmeter: 492 m 2
- Preis pro Quadratmeter: 225,00 €
- Preis gesamt: 115.975,08 €
- Vergaberichtlinie
- Zuteilungsantrag
6321
Neuländstraße
77866 Rheinau
Anfahrt planen- Quadratmeter: 585 m 2
- Preis pro Quadratmeter: 225,00 €
- Preis gesamt: 136.900,08 €
- Vergaberichtlinie
- Zuteilungsantrag